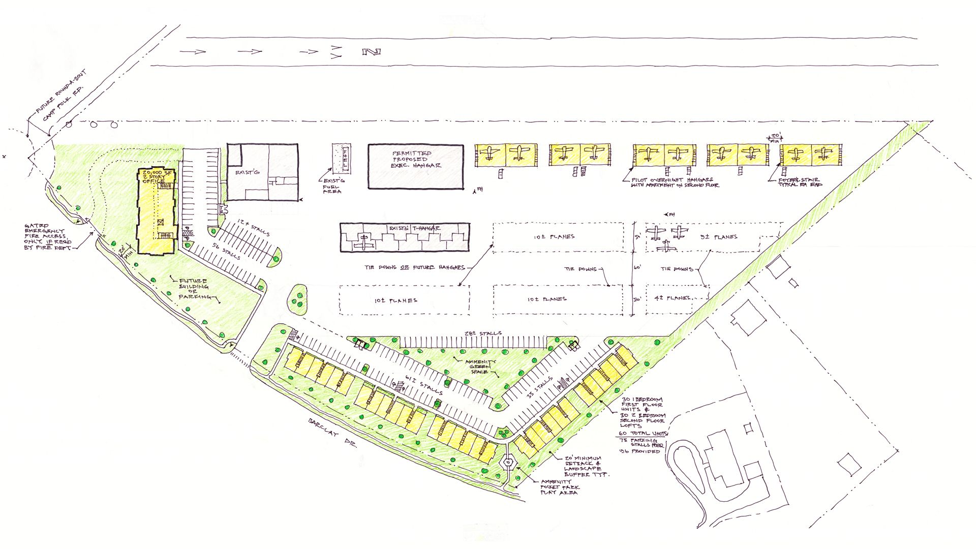
Aviation + Transportation Projects